Bloomberg Línea — El huracán Melissa continúa su recorrido destructivo por el Caribe y este miércoles 29 de octubre atraviesa el oriente de Cuba tras haber golpeado con fuerza a Jamaica, donde dejó un saldo de devastación y cortes masivos de electricidad.
Ver más: El huracán Melissa azota Jamaica y se acerca a Cuba
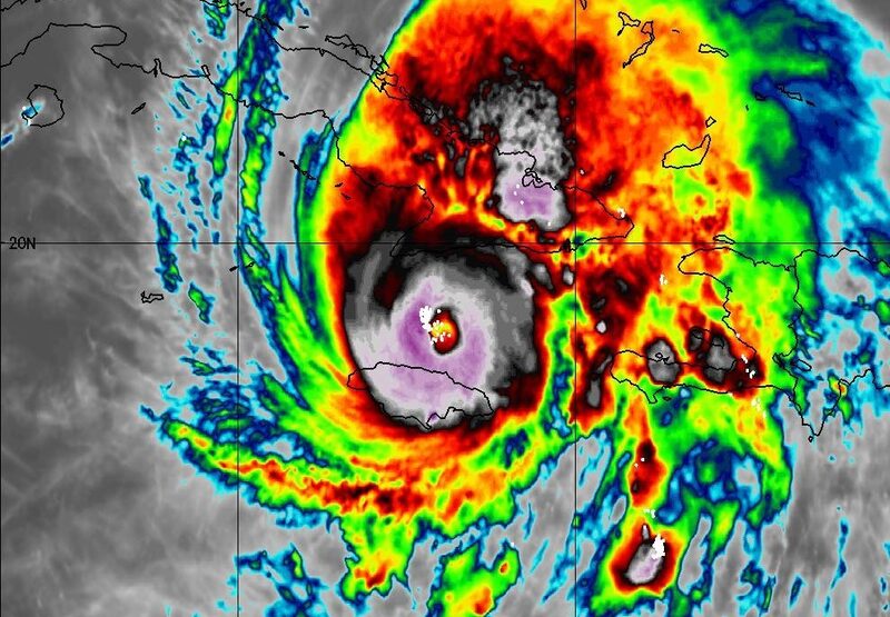
Según el Centro Nacional de Huracanes (NHC, por sus siglas en inglés) de Estados Unidos, Melissa tocó tierra cerca de la ciudad de Chivirico, en la provincia cubana de Santiago de Cuba, con vientos sostenidos de 193 km/h., y se desplazaba hacia el norte-noreste a unos 14 km/h.
A media mañana, el fenómeno se debilitó a categoría 2, aunque mantiene su poder destructivo mientras avanza sobre el país rumbo al mar y hacia las Bahamas.
El presidente de Cuba, Miguel Díaz-Canel, confirmó que el huracán provocó “daños cuantiosos”, al tiempo que pedía a la población “mantener la disciplina” y seguir resguardada.
Más de 735.000 personas fueron evacuadas como medida preventiva, mientras unas 241 comunidades, hogar de más de 140.000 personas, permanecen incomunicadas por la crecida de los ríos y la caída de árboles y tendidos eléctricos.
Las autoridades cubanas indicaron que las lluvias podrían extenderse durante todo el día, con riesgo de inundaciones y deslizamientos de tierra en áreas montañosas.
Los esfuerzos de recuperación comenzarán “en cuanto las condiciones lo permitan”, dijo Díaz-Canel en un mensaje difundido en la red social X.
Antes de llegar a Cuba, Melissa golpeó Jamaica como un huracán categoría 5, el más fuerte en la historia del país. El primer ministro Andrew Holness declaró la isla zona de desastre nacional después de que el 77% del territorio quedara sin electricidad y se reportaran tres muertes.
El fenómeno, con vientos que alcanzaron 185 millas por hora (298 km/h), arrasó viviendas, carreteras y tendidos eléctricos. En total, siete personas han muerto en el Caribe a causa de Melissa: tres en Jamaica, tres en Haití y una en República Dominicana.
En su trayecto por Cuba hoy, Melissa se encontraba cerca de Guantánamo durante la mañana y se espera que emerja al mar por la costa norte para continuar su desplazamiento hacia el sureste de las Bahamas, donde podría generar marejadas de hasta 2,5 metros, lluvias intensas y ráfagas de viento superiores a los 160 km/h.
El NHC advirtió que el huracán “seguirá siendo poderoso” en las próximas horas, aunque tenderá a debilitarse gradualmente al internarse en el Atlántico y dirigirse hacia el norte.
Melissa ha sido uno de los huracanes más intensos del Atlántico en 2025, con más de 80 horas consecutivas como gran huracán.
Los meteorólogos destacan que la temperatura anómalamente alta del mar Caribe impulsó su rápida intensificación, un fenómeno que los expertos asocian al cambio climático.









